Realizácia mosta 205-00 na diaľnici D1 Hričovské Podhradie – Lietavská Lúčka
Článok približuje realizáciu mosta 205-00 na obchvate Žiliny diaľnicou D1 na úseku Hričovské Podhradie – Lietavská Lúčka. Počas realizácie bolo potrebné vyriešiť zosúladenie procesov presunu výsuvnej skruže a vnútorného debnenia, predpínania predpínacích jednotiek v troch etapách, armovania nosnej konštrukcie, osadenia monitorovacích zariadení, betonáže a iných procesov do 19-dňového cyklu, ktorého výsledkom je pole mosta s dĺžkou 59 m.
Most 205-00 je súčasťou stavby Diaľnica D1 Hričovské Podhradie – Lietavská Lúčka a rieši premostenie hlbokého údolia s poľnou cestou, potokom a preložkou cesty III/5183. Trasa diaľnice D1 prechádza údolím potoka s voľným vegetačným krytom trávy, krovín a drevín. Most sa nachádza v extraviláne, v katastrálnych územiach Bitarová a Bánová, v blízkosti zástavby obce Bitarová.
Technické riešenie mosta
Konštrukcia mosta
Most pozostáva z dvoch súbežných mostných konštrukcií, každá z nich je spojitá, monolitická s nosnou konštrukciou (ďalej len NK) tvorenou dodatočne predpätým komorovým prierezom. Každý z mostov tvorí jeden dilatačný celok. Uloženie nosnej konštrukcie na spodnú stavbu je kombinované – prostredníctvom hrncových ložísk s vrubovými kĺbmi.
Zakladanie je hlbinné na veľkopriemerových pilótach. Zvršok tvoria rímsy, vozovka, zvodidlá, zábradlia a odvodnenie. Vzhľadom na charakter premosťovanej prekážky je technológia výstavby mosta navrhnutá postupným budovaním na výsuvnej skruži v kombinácii s podpernou skružou.
Obr. 1 Realizovaná nosná konštrukcia pravého mosta SO 205-00
Zakladanie
Opory a podpery mosta 205-00 sú založené na veľkopriemerových vŕtaných pilótach s priemerom 900 mm votknutých do podložných ílovcov pod zónu ich intenzívneho zvetrania. Na elimináciu účinkov sadania opory 1 založenej na násype telesa je navrhnutá realizácia konsolidačného násypu s výškou 1,0 m nad budúcou niveletou diaľnice. Po realizácii konsolidačného násypu sa budú v priečnom reze telesom násypu situovanom v osi uložení NK inštalovať meračské značky na sledovanie sadania podložia a násypu v priebehu konsolidácie.
Spodná stavba
Všetky piliere majú rovnaký priečny rez v tvare písmena H s hlavnými rozmermi 2,4 × 5,0 m. Šírka strednej steny je 600 mm, stena je ukončená 1,5 m pod horným povrchom piliera. Horná plocha steny bude pri pilieroch s ložiskami slúžiť ako služobný chodník na revíziu ložísk. Piliere sa betónujú postupne v niekoľkých pracovných taktoch s prekladaným debnením s pracovnou škárou medzi pracovnými taktami.
Základný betonársky záber je 5,0 m – táto základná dĺžka sa merala od horného povrchu piliera, v spodnej časti sa betónoval zvyšný atypický diel každého piliera s rôznou výškou. Nosná zvislá, tzv. štartovacia výstuž vyčnievala zo základov cez 2 pracovné škáry a ďalej sa prestykovala nad každou pracovnou škárou.
V jednom reze sa prestykovalo 100 % prútov nosnej výstuže. Na osadenie podpernej konštrukcie výsuvnej skruže sa v každom pilieri urobili po stranách obdĺžnikové „kapsy“ s rozmermi 930 × 950 mm s hĺbkou 600 mm, ktoré sú umiestnené vo všetkých pilieroch v rovnakej vzdialenosti od ich horného povrchu. Prierez piliera je nadimenzovaný na prídavné namáhanie od podpernej konštrukcie skruže.
Obr. 2 Pohľad na piliere mosta SO 205-00, smer Bratislava
Nosná konštrukcia
Nosnú konštrukciu pravého aj ľavého mosta tvorí 11-poľový spojitý nosník komorového prierezu s konštantnou výškou 3,00 m a šírkou 13,55 m. Ide o konštrukciu z monolitického dodatočne predpätého betónu komorového prierezu s vyloženými konzolami. Rozpätia polí v osi diaľnice sú 41,75 + 9 × 58,5 + 41,75 m. Dĺžka ľavej NK je 615,370 m, pravej NK 608,630 m.
Nadpodperové priečniky majú dĺžku 4,0 m, koncové priečniky 2,0 m. Nad každou podperou je zosilnený nadpodperový priečnik navrhnutý tvarovo tak, aby sa umožnil prechod vozíka s vnútorným debnením.
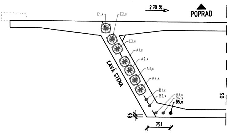
Komorový prierez NK sa predpína systémom pozdĺžneho dodatočného súdržného predpätia systému Projstar z lán ØLs 15.7/1860. Použité sú 13-lanové káble.
Predpínací systém tvoria 4 typy káblov označených A, B, C, D. Z dôvodu urýchlenia postupu výstavby sa káble jednej etapy predpínajú v troch fázach. Platí pritom, že:
1. káble A v počte 8 ks/prierez sú priebežné, spojkované v pracovnej škáre medzi etapami výstavby;
2. káble B vedú len cez 1 mostné pole v počte 10 ks/prierez a sú prekotvené v oblasti nadpodperových priečnikov
3. káble C v počte 6 ks/prierez sú nepriebežné a budú osadené pri hornom povrchu NK v oblasti nad podperami. Na jednej strane sú ukončené zabetónovanými pasívnymi kotvami, na druhej strane sa napínajú v pracovnej škáre medzi etapami výstavby;
4. káble D v počte 4 ks/prierez sú pri spodnom okraji NK v strede polí nepriebežné a sú kotvené v náliatkoch spodnej dosky.
Všetky káble sa napínajú jednostranne, káble A a C sa napínajú vždy od voľného konca danej etapy. Káble B a D sa napínajú v komore mosta od druhého konca danej etapy druhým predpínacím lisom. Na napínanie káblov typu B sú v hornej doske NK pri priečnikoch na napínanej strane urobené otvory
Ø 80 mm na zavesenie predpínacieho lisu.
Kotevné napätie káblov typu A a C je 1 460 MPa, káblov typu B a D 1 480 MPa. Všetky káble sú injektované injektážnou cementovou maltou. Injektáž prebieha vždy po spustení a presune skruže do ďalšej etapy, keďže 7 dní po injektáži nie je dovolené zaťažovanie príslušného mostného poľa ťažkými montážnymi prostriedkami (žeriavy, nákladné automobily…), resp. zmena zaťaženia spôsobená spustením výsuvnej skruže.
Obr. 3 Proces premiestňovania výsuvnej skruže z etapy č. 10 do etapy č. 1
Postup výstavby nosnej konštrukcie
Nosná konštrukcia sa buduje etapovo, výstavba je rozdelená spolu na 22 etáp – etapy 1 až 11 v rámci výstavby pravej NK a etapy 12 až 22 v rámci výstavby ľavej NK. Každá etapa predstavuje 1 mostné pole.
Výstavba nosnej konštrukcie na výsuvnej skruži
Etapy 1 – 10 a etapy 13 – 21 boli, resp. sú budované na výsuvnej skruži systémom STRUKTURAS so spodným uložením hlavných nosníkov. Krajné polia budované ako posledná časť príslušnej nosnej konštrukcie (na pravej NK etapa 11 = pole 1, na ľavej NK etapa 22 = pole 11) sú realizované na pevnej skruži. Na pevnej skruži sa vybudovala aj prvá časť ľavej NK (etapa 12), a to z dôvodu dodržania harmonogramu výstavby.
Výsuvná skruž sa demontovala a premiestnila z pravej NK na ľavú NK, pričom počas tohto technologického procesu, ktorý trval dva mesiace, sa na pevnej skruži zhotovilo najskôr prvé pole ľavej NK – etapa 12 (demontáž výsuvnej skruže v 10-tej etape na pravej NK) –, následne posledné pole pravej NK – etapa 11 (montáž výsuvnej skruže v 13-tej etape na ľavej NK) –, čo zabezpečilo kontinuálnu výstavbu bez technologickej prestávky potrebnej na presun skruže.
Podperné body na osadenie výsuvnej skruže sú vždy na pilieri budovanej etapy a na konzole NK vybudovanej predchádzajúcej etapy. Ako prvá sa vybudovala NK pravého mosta. Na pravej NK bol postup výstavby proti smeru staničenia od opory 12 k opore 1, na ľavej NK v smere staničenia od opory 1 k opore 12. Postup výstavby opory 12P sa prispôsobil tak, aby sa na jej základ mohli pri betonáži uložiť hlavné nosníky skruže.
![]() |
![]() |
![]() |
| Obr. 4 Postup súčasného armovania, zhotovovania káblových kanálikov a debnenia NK |
Ako prvá sa vybudovala NK pravého mosta. Na pravej NK bol postup výstavby proti smeru staničenia od opory 12 k opore 1, na ľavej NK v smere staničenia od opory 1 k opore 12. Postup výstavby opory 12P bol prispôsobený tak, aby sa pri betonáži mohli na jej základ uložiť hlavné nosníky skruže.
V každej betonárskej etape sa najprv presunie skruž s vonkajším debnením do potrebnej betonárskej polohy (3 dni). Na nastavenej výsuvnej skruži sa viaže spodná časť betonárskej výstuže, teda spodná doska a trámy (65 t/etapa).
Rozdelenie na armovacie úseky aj stykovanie pozdĺžnej výstuže sú uvedené vo výkresoch výstuže príslušnej etapy. Súčasne s viazacími prácami betonárskej výstuže spodnej dosky a trámov prebieha osadenie roznášacích podložiek na čelá debnenia (48 ks/etapa) a zhotovenie káblových kanálikov predpínacej výstuže (1 382 m/etapa) (5 dní).
Následné zavážanie vnútorného debnenia komory mosta (59 m/etapa) prebieha súčasne s natláčaním predpínacej výstuže do káblových kanálikov (21,17 t/etapa) a postupným armovaním hornej dosky na osadenom vnútornom debnení komory (35 t/etapa) (5 dní). Ako prvá sa vždy osadzuje armatúra nadpodperového priečnika (14 t/priečnik).
![]() |
![]() |
| Obr. 5 Betonáž nosnej konštrukcie |
Betonáž nosnej konštrukcie
Po osadení betonárskej a predpínacej výstuže sa prierez betónuje od priečnika smerom k voľnému koncu NK a následne od priečnika smerom k pracovnej škáre medzi etapami. Prierez sa betónuje v jednom pracovnom takte (510 m3 betónu/etapa) bez pracovných škár medzi stenami a hornou doskou.
Betonárska a predpínacia výstuž
Poloha predpínacej aj betonárskej výstuže rešpektuje výškovú polohu spínacích tyčí debnenia v stenách prierezu a polohu všetkých montážnych otvorov v hornej a spodnej doske prierezu NK. Polohu spínacích tyčí po dĺžke nosnej konštrukcie bolo nevyhnutné v častiach so zmenou výškového vedenia káblov pozdĺžneho predpätia príslušne upraviť, pretože s ohľadom na množstvo predpínacej výstuže nie je možné jej vedenie prispôsobiť v celom rozsahu.
Etapy 2 – 8 a 13 – 19 majú zhodné vedenie predpínacej výstuže, ako aj riešenie betonárskej výstuže, líšia sa iba polohou odvodňovačov a tým aj polohou atypicky osadzovanej výstuže v oblasti odvodňovačov.
Zvyšné etapy sa líšia, čo znamená úpravu debnenia výsuvnej skruže. Zásadné zmeny spočívajú v dĺžke etapy, polomere zakrivenia, počte a polohe kotevných oblastí atď.
Tvar betonárskej výstuže rešpektuje vedenie tvrdej výstuže, čo je vyznačené v príslušných výkresových prílohách. Systém priečnej výstuže sa buduje formou zostáv kladených v pravidelných vzdialenostiach 200 mm. Výstuž priečnikov sa rieši osobitne so vzdialenosťou priečnych zostáv 150 mm.
![]() |
![]() |
| Obr. 6 Pohľad na káblové kanáliky predpínacej výstuže na pracovnej škáre a priečniku |
Predpínanie nosnej konštrukcie
Po betonáži etapy mosta, oddebnení čiel a osadení kotevných objímok predpínacích káblov sa nosná konštrukcia predpína hneď po dosiahnutí potrebnej pevnosti betónu v tlaku (2 dni) v niekoľkých etapách predpínania.
V prvej etape predpínania predpínacej výstuže sa jednostranne predpínajú káble A1 – A4 a C1 – C3 (14 ks), a to predpínacím lisom č. 1 od voľného konca etapy, a káble B1 – B2 (4 ks) predpínacím lisom č. 2 z druhého konca betónovanej etapy z komory mosta (1 deň). Po predopnutí týchto káblov nasleduje spustenie výsuvnej skruže.
V druhej etape predpínania sa dodatočne predpínajú jednostranne káble B3 – B5 (6 ks) predchádzajúcej etapy, a to predpínacím lisom č. 2 z komory mosta za súčasného vysúvania výsuvnej skruže.
Tretia etapa predpínania jednostranne predpínaných káblov D1 – D2 (4 ks) prebieha až tesne pred betonážou nasledujúcej etapy predpínacím lisom č. 2 z komory mosta po vysunutí vnútorného debnenia, a teda po uvoľnení kotevných oblastí v spodnej doske. V bežnej etape sa v troch etapách predpína 28 ks 13-lanových káblov. Injektáž káblových kanálikov predopnutých káblov prebieha počas vysúvania a nastavovania skruže do betonárskej polohy.
Procesy zhotovovania káblových kanálikov, predpínania výstuže a injektáže káblových kanálikov predlžujú čas výstavby etapy len o jeden deň, pretože prebiehajú súčasne s inými technologickými procesmi. Toto skĺbenie technologických procesov zabezpečuje zhotovenie etapy mosta dlhej 59 m za 19 dní.
![]() |
| Obr. 7 Schéma predpínacích káblov na pracovnej škáre |
![]() |
| Obr. 8 Schéma predpínacích káblov na priečniku |
Záver
Počas realizácie stavebného objektu SO 205-00 na úseku stavby D1 Hričovské Podhradie – Lietavská Lúčka bolo potrebné vyrovnať sa s viacerými technologickými prekážkami a zosúladiť jednotlivé činnosti a procesy výstavby tak, aby si neprekážali a vykonávali sa efektívne.
V prvých troch etapách sa zosúladila spolupráca vedúcich projekčnej kancelárie, výsuvnej skruže, predpínania a stavbyvedúceho natoľko, že výstavba jednej etapy trvala 20 až 21 dní (pole mosta). Momentálne je vďaka zohratému tímu ľudí realizácia výstavby jednej etapy tohto mostného objektu ustálená na časovom úseku 19 dní.
Construction of bridge 205-00 on D1 motorway section Hričovské Podhradie – Lietavská Lúčka
The article outlines the construction of Bridge 205-00 on D1 Motorway section Hričovske Podhradie – Lietavska Lučka, bypassing the town of Žilina. Throughout the construction it was necessary to synchronize several activities such as transport of the movable scaffolding and the inner framework, 3-phased pre-stressing of units, armouring of the bearing structure, installing of monitoring devices, pouring of concrete and other activities involved within the 19-days cycle, the outcome of which is the 59 m long bridge span.
TEXT: Ing. Peter Veróny, PhD., Ing. Richard Púček
FOTO: Jozef Mravec, VÁHOSTAV-SK, a. s.
_____________________________________
Peter Veróny a Richard Púček pôsobia v spoločnosti VÁHOSTAV-SK, a. s., v divízii dopravných stavieb.
Článok bol uverejnený v časopise Inžinierske stavby/Inženýrské stavby 6/2016.























