Mosty na križovatkách diaľnice D1 Vrtižer a Bytča
Diaľničný ťah D1 v Slovenskej republike prebieha po trase Bratislava – Žilina – Prešov – Košice – hranica s Ukrajinou. Po dobudovaní bude príslušný úsek diaľnice súčasťou európskej cesty E50, ktorý z Francúzska prechádza cez Nemecko, Čechy, Slovensko, Ukrajinu a Rumunsko ďalej na juh. Mostné objekty, ktorými sa zaoberá tento článok, sa zrealizovali na križovatkách diaľnice D1 v úseku Vrtižer – Hričovské Podhradie a v úseku Mengusovce – Jánovce.
žne 5 km za Považskou Bystricou v smere na Žilinu a začína sa križovatkou Vrtižer. Celková dĺžka úseku predstavuje 12,904 km. Trasa úseku diaľnice D1 medzi Mengusovcami a Matejovcami je na území Prešovského kraja a prevažne okresu Poprad. Jeho dĺžka je 8 km.Projektovú dokumentáciu na vykonanie prác spracovala a vyhotovila firma Alfa 04 a. s., realizáciu objektov súvisiacich s križovatkou Vrtižer zabezpečovala firma Doprastav, a. s., závod Žilina, a objekty súvisiace s križovatkou Bytča firma Váhostav-SK, a. s. Objekt na križovatke Poprad zabezpečila firma Inžinierske stavby, a. s., Košice.
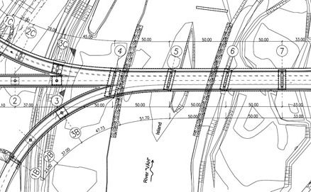
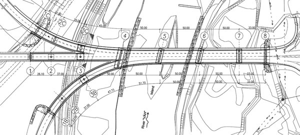
Obr.1 Prehľadný výkres mosta
Konštrukčné riešenie
Križovatka Vrtižer
Mostný objekt na križovatke Vrtižer premosťuje diaľnicu D1, železničnú trať a cestu I/61. Hlavná časť mosta má 11 polí s rozpätiami od 24 do 37 m v celkovej dĺžke 348 m a spolu s dvomi vetvami dĺžky 156 a 109 m a s rozpätiami 25 až 33 m tvoria jeden dilatačný celok (obr. 1 a 2). Podpery mosta sa navrhli ako piliere kruhového prierezu s priemerom 1,8 m, ktoré vzhľadom na svoju početnosť a nepravidelnosť umiestnenia v danom priestore pôsobia najmenej rušivo a v súvislosti s rovnakou únosnosťou vo všetkých smeroch sú optimálne na zachytenie vodorovných síl pôsobiacich od nosnej konštrukcie ako celku v rôznych smeroch (obr. 3).
Obr. 2 Pohľad na križovatku Vrtižer
Nosnú konštrukciu tvorí komôrkový prierez konštantnej výšky 1,85 m s obojstrannými konzolami. Vzhľadom na zložitú geometriu mosta je šírka prierezu značne premenná, a to od 11 do 21 m, pričom vyloženie konzol ostáva konštantné. Most sa budoval po poliach na podpernej skruži z monolitického, dodatočne predpätého betónu (obr. 4). Škáry medzi jednotlivými etapami výstavby sa situovali vo vzdialenostiach 6 m od podpier. Nosná konštrukcia sa začala budovať v jej najkomplikovanejšej časti z hľadiska geometrie, čo umožnilo optimálne naštartovanie trámov, predpínacích káblov aj betonárskej výstuže do jednotlivých vetiev.
![]() |
![]() |
| Obr. 3 Pohľad na spodnú stavbu | Obr. 4 Rozplet vetiev mosta |
Most je uložený na pevných ložiskách na jednej podpere situovanej v pozdĺžnom smere v strede dilatačného celku. Ložiská na ostatných podperách sú pohyblivé jednosmerné a všesmerné v závislosti od možného pohybu nosnej konštrukcie.
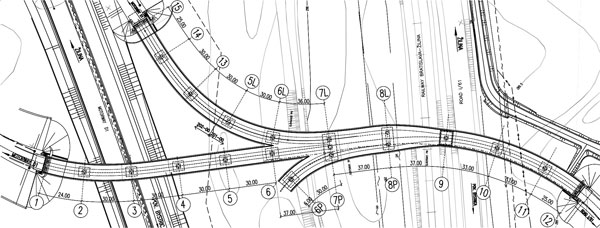
Križovatka Bytča
Na križovatke Bytča sa vzhľadom na úplne rozdielne premosťovanie prekážky navrhli dva mostné objekty so spoločnou podperou a mostným záverom. Rieku Váh premosťuje mostný objekt dlhý 301,4 m. Má sedem polí s rozpätiami od 26 do 50 m a dve vetvy s dĺžkou 118,2 a 105,6 m s rozpätiami od 23 do 50 m (obr. 5).
Obr. 5 Prehľadný výkres mosta cez Váh
Spodná stavba v koryte Váhu (obr. 6) sa navrhla zo stenových prvkov kruhového prierezu s priemerom 1,6 a 2 m, orientovaných v smere toku a v mieste vetiev z rovnakých dôvodov, ako bolo uvedené v prípade objektu križovatky Vrtižer.
Premostenie Váhu si vyžiadalo náročný postup výstavby spôsobenej hlbinným zakladaním, budovaním podpernej skruže v koryte rieky, ako aj prekládku Váhu počas výstavby. Podpery v inundácii sa zakladali plošne pod ochranou baranených štetovníc. Na realizáciu podpier sa v koryte Váhu vybudovali dočasné ostrovy. Zakladanie je hlbinné, mikropilóty sú pod ochranou štetovníc vkladaných do ryhy hĺbenej drapákom a vyplnenej ílovocementovou suspenziou. Tento postup si vyžiadal očakávané ťažkosti pri baranení v štrkoch s výskytom balvanov, na ktoré upozorňoval inžinierskogeologický prieskum.
![]() |
![]() |
| Obr. 6 Pohľad na most cez Váh | Obr. 7 Rozplet vetiev mosta cez Váh |

Obr. 11 Prehľadný výkres mosta
Každý most má pevné uloženie na jednej podpere, ktorá je vzhľadom na pozdĺžny pohyb situovaná v strede dilatačného celku. Ložiská na ostatných podperách sú pohyblivé – jednosmerné a všesmerné v závislosti od možného pohybu nosnej konštrukcie.
Mosty sa budovali po poliach na podpernej skruži z monolitického dodatočne predpätého betónu. Škáry medzi jednotlivými etapami výstavby sa situovali vo vzdialenostiach 6 až 8 m od podpier v závislosti od dĺžky rozpätia (obr. 10).
Obr. 10 Výstavba mostov
| Spotreba hlavných materiálov Most na križovatke Vrtižer Betón: 0,65 m3/m2 Betonárska výstuž: 98 kg/m2 Predpínacia výstuž: 30 kg/m2 |
| Mosty na križovatke Bytča Most nad riekou Váh Betón: 0,73 m3/m2 Betonárska výstuž: 99 kg/m2 Predpínacia výstuž: 34 kg/m2 Nadväzujúci objekt |
Autori: Tibor Michalka – Margita Gašparíkov
FOTO: Alfa 04 a.s.
Clánok bol uverejnený v časopise Inžinierske stavby/Inženýrské stavby.




















