Analýza príčin porušenia oporného múru
Článok uvádza geotechnickú analýzu príčin porušenia a návrh sanačných opatrení oporného múru vybudovaného v zosuvnom území. Nitrianska kotlina – a najmä oblasť obce Handlová – sú problematické z hľadiska výstavby stavebných objektov, a to pre výskyt množstva rôznych typov zosuvov. Nerešpektovanie miestnych inžinierskogeologických pomerov, podcenenie statického návrhu konštrukcie oporného múru a chyby pri realizácií stavebného diela viedli k porušeniu oporného múru realizovaného pre objekt predajne potravín v Handlovej.
Stavebný objekt je situovaný v päte prúdového zosuvu a oporný múr sa vybudoval v záreze akumulačnej oblasti zosuvu. Počas výstavby objektu potravín došlo k porušeniu oporného múru a nutnosti návrhu sanačných opatrení.

Na účely výstavby predajne potravín v Handlovej sa vypracoval inžinierskogeologický (IG) prieskum [3]. V záujmovom území a jeho širšom okolí sa v minulosti realizovalo niekoľko desiatok IG prieskumov, ktoré boli zamerané na problematiku svahových porúch tejto lokality. Z nich vyplýva, že toto územie sa považuje za nevhodné na výstavbu, resp. podmienečne vhodné za predpokladu, že sa zrealizuje sanácia zosuvného územia.
Situácia svahových porúch v Handlovej a v záujmovom území staveniska prevzatá z literatúry [2] je uvedená na obr. 1. Z obrázka je zrejmé, že stavebný objekt bol situovaný v päte prúdového zosuvu a oporný múr bol vybudovaný v záreze akumulačnej oblasti zosuvu. Pri novom IG prieskume sa využili archívne prieskumné diela. V rámci neho sa v záujmovom území realizovalo šesť vrtov (s hĺbkou 16 m) a jedna kopaná šachta Š-10 (s hĺbkou 9,1m). V rámci nového prieskumu [3] sa zhotovilo päť vrtov do hĺbky 6 až 8 m.



Z vyššie uvedených skutočností vyplýva, že záujmové územie sa považovalo za nevhodné na výstavbu, resp. podmienečne vhodné za predpokladu, že sa zrealizuje sanácia zosuvného územia. Archívne poznatky o záujmovom území sa dostatočne neakceptovali, resp. podcenili pri projektovaní stavebných objektov.

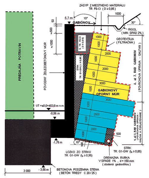
Situácia záujmového územia s vyznačením polohy stavebných objektov (predajne potravín a oporného múru) je znázornená na obr. 6. Pohľad a pôdorys oporného múru s oblasťou zosuvu a projektovanými parametrami múru sú zobrazené na obr. 7. Priečny rez oporným múrom s priebehom pôvodného terénu v profiloch PF-1 až PF-3 je uvedený na obr. 8. Projektant navrhol uholníkový oporný múr so šírkou steny 0,6 m. Oporný múr dĺžky 65 m je založený na pásovom základe šírky 1,5 m a výšky 1,2 m. Výška múru je premenlivá (od 3,6 m do 7,5 m) a závisí od konfigurácie priľahlého terénu. Tento múr sa vyhotovil po celom obvode staveniska. Dve dilatačné škáry v opornom múre sa nachádzajú v oblasti zosuvu.
Na obr. 7 je zobrazená aj poloha trinástich meracích bodov, na ktorých sa geodetickou metódou merali vodorovné deformácie múru. Krátko po zasypaní zeminou sa oporný múr najskôr naklonil a vychýlil najmä v mieste dilatácie v smere pôsobiaceho zemného tlaku. V dôsledku nerovnomerného náklonu oporného múru vznikla v priestore medzi meracím bodom č. 1 a 3 diagonálna trhlina (obr. 7).
Obr. 7: Pohľad a pôdorys oporného múru s vyznačením oblasti zosuvu
Obr. 8: Priečny rez múrom s vyznačením pôvodného terénu v profiloch PF-1 až PF-3
Obhliadka záujmového územia
S cieľom zistenia technického stavu oporného múru sa vykonala obhliadka záujmového územia, pri ktorej sa zistili tieto skutočnosti:
- oporný múr bol porušený diagonálnou trhlinou so šírkou 4,0 až 6,0 mm, ktorá sa neustále zväčšovala (obr. 7),
- cez dilatáciu a v mieste trhliny presakovala podzemná voda na vzdušnú stranu oporného múru. Zemina v podloží a okolí oporného múru bola nasýtená vodou.

Deformácie oporného múru mobilizované pôsobiacim zemným tlakom sa neustále zväčšovali. Rýchlosť náklonu koruny oporného múru sa pohybovala v rozpätí od 4 do 12 mm za deň. Po neodkladnom opatrení (odvodnení rubu múru), ktoré sa investorovi odporučilo a ktoré sa aj realizovalo, sa rýchlosť vychýlenia oporného múru postupne v priebehu niekoľkých dní znížila na hodnotu 0,25 až 1,2 mm za deň.
Analýza príčin porušenia oporného múru a návrh sanácie
Príčiny a faktory (resp. chyby), ktoré sa podieľali na vzniku porúch na opornom múre, možno rozdeliť chronologicky podľa jednotlivých etáp stavebnej výroby (výstavby stavebného diela) do týchto troch skupín:
- chyby vyplývajúce z nesprávnych záverov a odporúčaní IG prieskumu,
- chyby vyplývajúce z projektovej dokumentácie (statického návrhu opornej konštrukcie),
- chyby vyplývajúce z realizácie stavebných prác (výstavby oporného múru).
Geotechnické výpočty
Aby sa verifikovali statické výpočty (realizované v rámci projektovej dokumentácie), uskutočnila sa séria geotechnických výpočtov pre projektovaný oporný múr za rovnakých okrajových podmienok, ako predpokladal projektant. Mechanické vlastnosti zemín, šmyková pevnosť, objemová tiaž zeminy, geometrické charakteristiky oporného múru, mobilizácia zemného tlaku atď. sa použili rovnaké, ako použil projektant vo svojom statickom výpočte (napriek tomu, že z geotechnického hľadiska nebolo možné súhlasiť so všetkými predpokladmi). Výpočtami sa preukázalo, že navrhnutý oporný múr nevyhovoval kritériám, ktoré sa požadovali z hľadiska bezpečnosti a použiteľnosti konštrukcie, čo bolo v súlade s reálnym stavom porušeného oporného múru.
Stavebné práce
Realizácia stavebných prác neprebiehala v súlade s IG podmienkami daného (zosuvného) územia, aj keď na tieto podmienky dodávateľa nikto neupozornil ani autora IG prieskumu, ani projektanta. V projektovej dokumentácií sa vôbec nepopisuje spôsob výstavby takých náročných konštrukcií, ako je výstavba oporného múru s výškou 7,5 m v zosuvnom území. Už pri výkopových prácach pre oporný múr došlo k aktivizácií zosuvov v záreze svahu menšieho rozsahu, o ktorých dodávateľ prác neinformoval projektanta a ani autora prieskumu.
V dôsledku rozsiahleho odkopu a nesprávneho návrhu oporného múru došlo k aktivizácii zosuvu a porušeniu už vyhotoveného oporného múru. Za významný faktor, ktorý sa podieľal na vzniknutej situácií, považujeme aj nesprávne odvodnenie priestoru za oporným múrom. Odvodnenie tohto priestoru nebolo dôsledne naprojektované a ani realizované. V čase ohliadky podzemná voda presakovala cez trhliny a dilatačné škáry oporného múru.
Obr. 10: Technické riešenie sanácie oporného múru – pohľad
Sanácia konštrukcie

Záver
Analýza všetkých dostupných archívnych materiálov, poznatkov zistených pri fyzických obhliadkach a výsledky kontrolných geotechnických výpočtov ukázali, že k porušeniu oporného múru prišlo z viacerých dôvodov. Vykonaný inžinierskogeologický prieskum neupozornil projektanta dostatočne výrazne na problémy, ktoré môžu vzniknúť pri návrhu oporného múru v zosuvnom území.
Okrem toho projektant precenil tuhosť, tvar a konštrukciu navrhovaného oporného múru v daných inžinierskogeologických podmienkach a podcenil vplyv vlastností zemín na stabilitu múru. Použitie nevhodného konštrukčného riešenia (návrh relatívne ľahkého uholníkového oporného múru a nie ťažkej gravitačnej opornej konštrukcie) malo za dôsledok nestabilitu oporného múru ako celku, ktorá nakoniec viedla aj k jeho porušeniu. Problematiku zabezpečenia stability priľahlého zosuvného územia treba riešiť komplexnejšie. Z uvedeného dôvodu by mal investor monitorovať stabilitu oporného múru a priľahlého zosuvného územia.
Ing. Ľuboš Hruštinec, PhD., doc. Ing. Jozef Kuzma, PhD.
FOTO: autori
Autori pôsobia na Katedre geotechniky Stavebnej fakulty STU v Bratislave.
Príspevok vznikol v rámci riešenia grantového projektu MŠ SR č. 1/0578/08.
Literatúra
1. Kuzma, J. – Hruštinec, Ľ.: Analýza príčin porušenia oporného múru realizovaného pre stavebné objekty predajne v Handlovej. Bratislava, 2007.
2. Čertík, P. a kol.: Zhodnotenie opatrení pri prieskume a stabilizácii zosuvov v Handlovskej kotline, orientačný prieskum. Bratislava, INCO – Banské projekty, 1999.
3. Ďurovič, E.: Záverečná správa z geologickej úlohy „Handlová – predajňa potravín, Inžinierskogeologický prieskum.“ NOBAGEOS, 2006.
Článok bol uverejnený v časopise Stavebné materiály.














