Administratívu v priemyselnom parku postavili za 3 mesiace
Administratívna budova HTMAS je dôkazom, že aj v areáli s priemyselným charakterom je možné postaviť výnimočný objekt. Je v každom ohľade príjemným prekvapením.
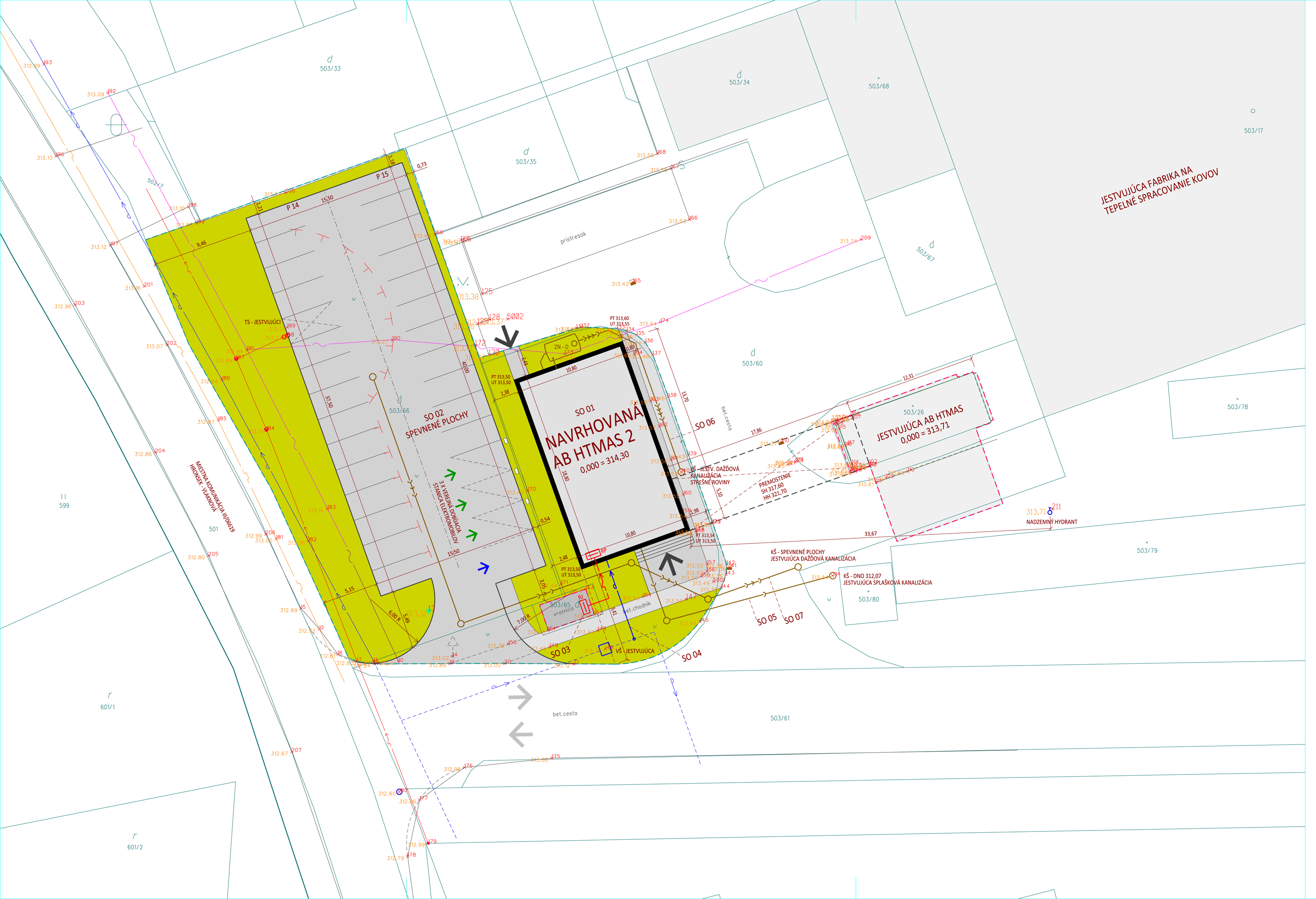
Nové sídlo vedenia a správy priemyselného parku je umiestnené hneď pri vstupe do areálu. Lokalitný program nezväzovali žiadne regulatívy ako uličná čiara a podobne, takže hneď pred novostavbu bolo logicky umiestnené parkovisko s progresívnym nápadom v podobe troch parkovacích miest pre elektromobily, ktoré fungujú aj ako dobíjacia stanica. Sympatické na tejto administratívnej budove je to, že nehrá s návštevníkom a pozorovateľom žiadnu hru.
Žiadny zakomponovaný druhý a tretí plán, komplikovaný architektonický slovník, drahé materiály použité pre efekt či naopak do očí bijúce šetrenie na úkor kvality. Každý použitý materiál a konštrukcia majú svoje opodstatnenie a do bodky sledujú naplnenie investičného zámeru. Pri obhliadke nás sprevádzal Vladimír Krajčovic, riaditeľ a predseda predstavenstva spoločnosti AVG group, ktorá budovu realizovala od projektovej prípravy cez dodávku stavebného materiálu až po samotnú výstavbu. „Pri návrhu budovy investor vstupoval do projektu len v rámci riešenia dispozícií. Ostatné sme vyriešili u nás v AVG,“ zdôraznil.
Bezúdržbová fasáda zo západnej strany je z ohýbaného hliníkového profilu.
Kancelárie v moste
Nová administratívna budova je vlastne prístavbou. S pôvodným objektom ju spája premostenie ponad obslužnú komunikáciu. „Keď už investor chcel, aby boli oba objekty prepojené, navrhli sme spojovací most s dĺžkou bez mála 20 m rozšíriť na 5 metrov a efektívne ho využiť aj ako kancelársky priestor,“ vysvetľuje Vladimír Krajčovic. Tento nápad jednoduchý kubus novostavby tvarovo obohatil, získala dynamiku a ako bonus niekoľko pracovných miest s unikátnym výhľadom navyše. Návrh konštrukcie budovy zohľadnil dôležitú požiadavku investora, aby bola výstavba rýchla. Podarilo sa, trvala len tri mesiace. Nosný skelet tvorí oceľová konštrukcia na železobetónových základových pätkách, prepojených betónovými pásmi. Horizontálne konštrukcie sú z nosného vlnitého plechu s betónovou zálievkou a výplň vertikálnych konštrukcií tvorí sendvičový panel s 200 mm izoláciou z minerálnej vlny.
Neprehliadnite na www.asb.sk
Záhradný domček priamo od architekta
Ako rozdeliť apartmán s rozlohou 28 m2
Interiér podkrovného bytu v čiernobielej kombinácii
Architektúra stavby je veľmi jednoduchá, podriadená priestorovým možnostiam vstupu do areálu priemyselného parku.
Bezúdržbová fasáda
Dôležitým kritériom, ktoré dalo administratívnej budove charakteristický výraz, bolo použitie bezúdržbovej fasády. Mala byť dlhodobo stabilná a vydržať bez nutných opráv niekoľko desaťročí. Prekvapením je, že návrh fasády nie je výsledkom architektonickej kompozície, ale podrobných strojárenských výpočtov a maximálneho využitia orientácie na svetové strany. O to viac poteší výsledok, ktorý je vyvážený, lahodí oku a navyše je nadčasový. Južnú stranu objektu vrátane premostenia pokrývajú na fasáde fotovoltické panely s pevným rozmerom 1,2 m x 1,6 m. Sú ukotvené na pomocnej hliníkovej konštrukcii na špeciálnych hliníkových príchytkách. Panely vyrábajú elektrickú energiu, ktorú majiteľ dodáva do distribučnej siete. Panelmi je pokrytá maximálna plocha južnej fasády a sú nainštalované aj na streche premostenia. Kancelárie v premostení sú presvetlené so severnej strany cez veľkoplošné okná s trojitým izolačným zasklením, pričom z juhu im príjemne tienia práve fotovoltické panely. Ostatné časti južnej fasády, na ktoré nebolo možné použiť typizované panely, sú pokryté kompozitovými platňami.
V exteriéri majú platne farebným náterom v antracitovom odtieni upravený plech s hrúbkou 0,5 mm. Z vnútornej strany platne je hliníkový plech a stabilitu dodáva platni jadro s hrúbkou 3 mm. Užitočným detailom sú zapracované okraje kompozitových platní, takže aj pri pohľade zblízka ide o elegantné riešenie. Výhodou je, že v prípade poškodenia sa dajú jednotlivé platne ľahko vymeniť. Z príjazdovej cesty hneď na prvý pohľad zaujme grafický motív na ostatných fasádach. Ide o trapézový hliníkový profil s perforáciou a eloxovou povrchovou úpravou. „Na fasády sa používa aj ťahokov, ale siahli sme po kvalitnejšom materiáli, aby sme dosiahli požadovanú bezúdržbovosť.“ Zvláštnosťou je, že perforovaný profil pokračuje aj tam, kde sú balkóny, a slúži tak ako originálne zábradlie. Táto fasáda je cez pomocnú hliníkovú konštrukciu ukotvená až do nosnej konštrukcie. Tepelné mosty boli ošetrené špeciálnymi plastovými podložkami.
Premostenie so šírkou 5 m sa využíva ako kancelária. Má príjemný industriálny charakter.
Úsporná prevádzka
Aj interiér dokazuje, že budova pochádza doslova z jednej dielne. Schodisko z pohľadového betónu lemuje zábradlie z kovovej platne s čiernym náterom, zavetrenie premostenia z 300 mm HEB profilu je plne priznané a dodáva interiéru industriálny nádych, čo je v priestore priemyselného areálu viac než sympatické gesto. Okrem komplexného návrhu celej budovy, prakticky pod jednou strechou, v AVG sa myslelo aj na ekológiu a najmä na úspornú prevádzku. Všetky technológie sú vedené pod stropom, skrýva ich sadrokartónový podhľad. LED svietidlá a svetelné panely šetria elektrickú energiu, dažďová voda sa zbiera do zásobníka a používa sa na splachovanie toaliet. Podlahové kúrenie temperuje interiér a každý priestor je možné individuálne dokúriť pomocou vzduchotechniky.
Jednoliatosť fasády podčiarkuje využitie perforovaného plechu aj vo funkcii zábradlia. Sympatický, pekne konštrukčne vyriešený detail.
Projektanti použili najjednoduchší možný slovník v duchu inžinierskeho minimalizmu, či už ide o architektonický výraz, technické a konštrukčné riešenie či zabudované technológie. Všetko vychádzalo z jednoduchej funkcie objektu, dokonca aj farebnosť v interiéri je oprostená od akýchkoľvek výrazných farebných akcentov. 700 m2 úžitkovej plochy na troch podlažiach poskytuje kultivovaný pracovný priestor pre približne 50 ľudí. Môžeme len dúfať, že budova HTMAS vo Vlkanovej bude inšpiráciou aj pre ďalšie priemyselné parky. Ostatne, táto realizácia je dôkazom, že utilitárne, funkčne, jednoducho a zároveň pekne a najmä kvalitne možno stavať hocikde.
Celková situácia (Pôvodná veľkosť obrázka)
Miesto: HT technologický park, Vlkanová
Investor: HTMAS s.r.o.
Vedúci projektu: Vladimír Krajčovic, predseda predstavenstva AVG group, a.s.
Autor architektonického riešenia: Ing. arch. Richard Murgaš
Projektant (nosné betónové konštrukcie): Ing. Pavel Antalík
Projektant (nosné oceľové konštrukcie): Ing. Miroslav Fašang
Projektant (zdravotechnika, kanalizácia, vykurovanie): Ing. Ľubomír Páločný
Projektant (elektroinštalácie): Štefan Súľovec
Projektant (požiarna ochrana):Ing. Jarmila Trenčianska
SO 01 – administratívna budova
Úžitková plocha 1. NP až 3. NP: 559,33 m2
Zastavaná plocha: 206,15 m2
Dotknutá plocha pozemku: 1 552,80 m2
SO 02 – spevnené a odstavné plochy
Spevnená plocha pre peší pohyb: 46,40 m2
Odstavná plocha pre osobné automobily: 664,94 m2
Počet parkovacích státí: 28 (z toho 3 nabíjacie stanice pre elektromobily)
Počet parkovacích státí pre imobilných: 1
Ukončenie prípravnej fázy: jún 2013
Ukončenie realizácie stavby: jún 2014
text: Mária Nováková
foto: Dano Veselský
dokumentácia: AVG group
Článok bol zverejnený v časopise ASB.


















