Piaty element v štýle Stredomoria
Vo filme Luca Bessona zachraňoval Piaty element ľudstvo, v projekte pre Čiernu vodu prináša Piaty element pozitívny náboj – tentoraz je označením pre bývanie v rodinných domoch so stredomorskou atmosférou. Voda, oheň, zem, vzduch a – 5. element, čiže deväť typov rodinných domov, ktoré chcú novým spôsobom definovať bývanie v okrajovej časti Bratislavy. Výstavba infraštruktúry je už ukončená, na jar spoločnosť Liberty Invest začína s výstavbou prvých rodinných domov pre svojich klientov.
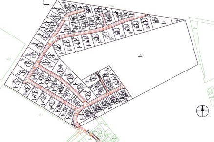
V súlade s prostredímLúky a porasty Šúrskeho lesa – chránenej prírodnej rezervácie, golfové ihrisko, jazdecký areál, vodné plochy, na horizonte silueta Malých Karpát. To je rámcové prostredie pre ojedinelý obytný súbor, ktorý je limitovaný počtom 62 rodinných domov. Podľa Ing. Ivana Krištofa, člen predstavenstva spoločnosti Liberty Invest, a. s., ponúka projekt 5. element Villa Resort viacero typov jednopodlažných a dvojpodlažných rodinných domov.

Osobitý výraz, inteligencia vybavenia
Spomenuté sedlové strechy vytvárajú špecifický a ojedinelý charakter rodinných domov, sú ich dominantou. Pri návrhu rodinných domov investor a architekt vyberali také materiály, ktoré by zdôraznili jedinečný prejav budúcej zástavby. Ide najmä o tvrdé keramické strešné krytiny v prírodnom vyhotovení, tradičný keramický murovací materiál na obvodový plášť, ako aj vnútorné deliace priečky. Kompaktnosť celej stavby zvýrazňuje monolitická železobetónová doska, ktorá tvorí strop nad jednotlivými podlažiami.

„Okrem estetickej stránky ide tiež o veľmi trvácnu a rozličným poveternostným vplyvom odolávajúcu fasádnu úpravu,“ hovorí Igor Grebáč. „Dnešné trendy stavebníctva a architektúry majú spoločné náročné technologické vybavenie stavieb, ktoré vyúsťujú do tzv. inteligentných budov. Pri rodinných domoch to zväčša býva estetické poňatie domu, ktoré sa vyznačuje avantgardnými tvarmi.“
Investor sa spolu s architektom v projekte 5. element Villa resort pokúsil skĺbiť nové trendy, ako napríklad nízku energetickú náročnosť domov s veľkým dôrazom na návrat ku všetkému osvedčenému a tradičnému, čo v európskom priestore prináša tvorba rodinných domov.
Akcelerácia predaja
Aj napriek nadštandardu projektu ide o bývanie za dobré ceny dostupné pre každého. Developer projektu prišiel aj so zaujímavou ponukou financovania a s ojedinelým spôsobom predaja, ktorý zákazníkom dáva istotu majiteľov. Klient sa nestáva vlastníkom pozemku a domu až po kolaudácii a po zaplatení celej sumy, ale vlastníkom sa stáva hneď po kúpe pozemku a rodinný dom mu spoločnosť postaví na kľúč do 12 mesiacov.
| 5. element Villa resort Miesto: Chorvátsky Grob, miestna časť Čierna Voda Investor: Liberty Invest, a. s. Zastavané územie: 70 571 m2 Špecifikácia rodinných domov: deväť typov, z toho osem typov samostatne stojacich rodinných domov a dvojdomy Úžitková plocha domov: od 141 m2 do 373 m2 Plocha pozemkov: od 602 m2 do 1 600 m2 Začiatok výstavby: prvý štvrťrok 2010 Koniec výstavby rodinného domu: do 12 mesiacov od začatia výstavby Predpokladané náklady: 22 mil. eur |
Vizualizácie: Liberty Invest







