Prechodné bývanie v Slovenskom raji
Slovenský raj ponúka mnoho príležitostí na relax – je miestom rôznych zaujímavostí, atrakcií a možností na celoročnú rekreáciu. Hlavným cieľom projektu apartmánového domu Mlynky je ponúknuť na tomto území luxusné rekreačné bývanie pre jednotlivých záujemcov. Oslovuje najmä tých, ktorí vyhľadávajú pohodlie, chcú tráviť čas v prírode a relaxovať, či klientov so záujmom investovať do nehnuteľnosti. Objekt sa bude nachádzať v obci Mlynky v časti Biele Vody, ktorá je situovaná na juhu národného parku.
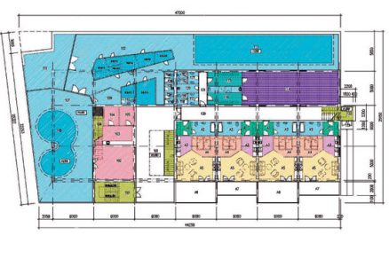
Apartmány sú orientované do hlavných fasád a každý z nich má lodžiu. Niektoré apartmány budú mezonetové. Každý z 24 apartmánov bude mať k dispozícii kuchyňu, sociálne vybavenie, obývaciu miestnosť s kozubom a spálne.
![]() |
![]() |
| Pôdorys 1. NP | Typické podlažie |
Interiéry budú zariadené kvalitným nábytkom. Apartmánový dom bude prístupný cez vstupnú halu s recepciou. V parteri domu bude wellness zázemie – bazén, vitálny svet a fitnes vizuálne prepojené s exteriérom cez zimnú záhradu. Obyvatelia apartmánového domu tu nájdu aj lobby bar a lyžiareň, ktorá poslúži počas zimnej sezóny. Pod objektom bude možnosť parkovania v podzemnej garáži.
Investor už čoskoro začne s výberom generálneho dodávateľa.
Názov projektu: Apartmánový dom MlynkyMiesto stavby: Mlynky – Biele Vody
Investor: AGENTÚRA 99 s. r. o.
Autor návrhu: Ing. arch. Viliam Kolesnáč
Generálny dodávateľ: zatiaľ neznámy
Zastavaná plocha: 1 124,00 m2
Plocha bytov: 1 774,85 m2
Plocha balkónov: 498,96 m2
Plocha parkoviska: 618,96 m2
Plocha ostatných služieb: 516,81 m2
Počet bytov: 24 apartmánov, z toho 7 mezonetových
Počet lôžok: min. 54 lôžok
Začatie výstavby: 10/2007
Dokončenie výstavby: 09/2009
Celkové náklady: 76 miliónov Sk
(ha)
Vizualizácie: AGENTÚRA 99









